Hier geht es zur Homepage der Stadt Moers
Hier werden Karten, Grubenrissen, Bauzeichnungen etc. gezeigt.

Feldbesitz und Flözkarte

Feldbesitz

Hauptstreckenverbindungen

Abbaubereiche

Schachtlageplan

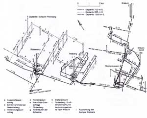
Das Grubengebäude

Profile der Rheinpreussenschächte

Profilzeichnung Steinkohlengebirge

Plan der Tagesanlagen Schacht V
Besuchen Sie auch meine Seite
www.foerdergerueste.de
